1085 Krumkill Road
Slingerlands, NY 12159
Pending
$149,000
Listing by:
Paige Amsler
Crystal Coleman Realty LLC
518-925-7151
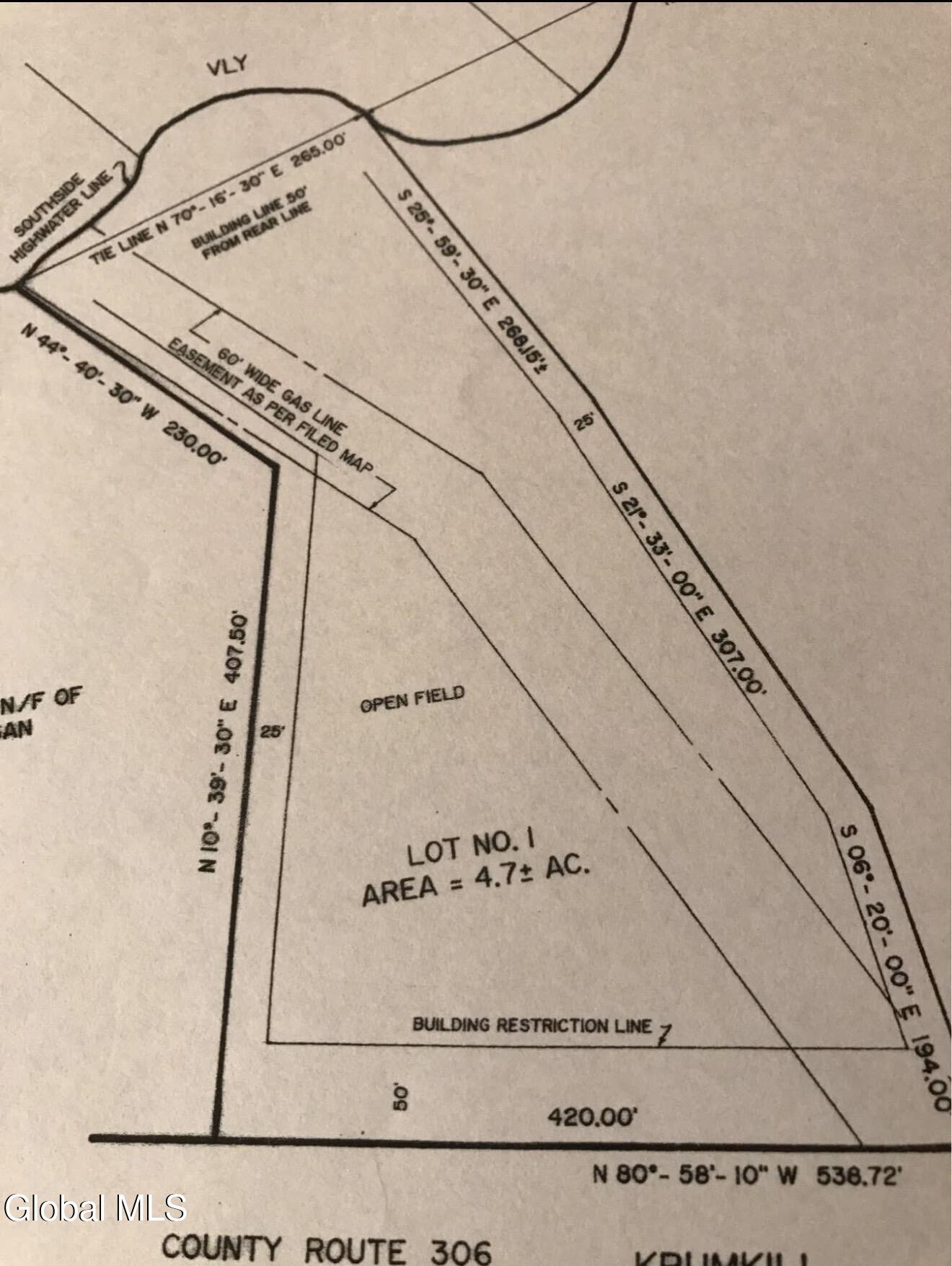
An exceptional opportunity to own 4.75 acres of cleared, buildable land in the highly sought-after Slingerlands area within the Voorheesville School District. This stunning parcel offers the perfect blend of privacy, natural beauty, and convenience--an ideal setting to build your dream home or secure a smart long-term investment. Boasting approximately 420 feet of road frontage, the property is gently framed by mature trees and bordered at the rear by the peaceful Vly Creek, creating a picturesque and tranquil backdrop rarely found in today's market. Enjoy wide-open space, fresh country air, and scenic surroundings while remaining just 10-15 minutes from major Capital District amenities, shopping, dining, and commuting routes. Outdoor enthusiasts will appreciate the property's close proximity to Thacher State Park and the Albany County Rail Trail, offering miles of hiking, biking, and year-round recreation just minutes away. Are you having a hard time spending today's prices on a dated home that still needs extensive updates to match your family's needs? Why not start with a blank canvas and build exactly what you want? This expansive parcel provides the perfect opportunity to create a home tailored to your lifestyle. Zoned with a 2-acre minimum building requirement, the property may offer future subdivision potential (buyer to verify with municipality), making it appealing to both homeowners and investors. The property currently does not have municipal water, sewer, or natural gas; buyers will plan for well, septic, and propane, with nearby development indicating possible future water expansion in the area. This is a rare chance to secure a beautiful piece of land in a location where opportunities like this are increasingly limited. This amazing property is ready to become something even more extraordinary.
BUYER'S AGENT
Connect with a local buyer's agent who advertises with Albany.com
Features
Location
Copyright 2026 Global MLS, Inc.
Information is not guaranteed








